Deutschland - Nordrhein-Westfalen: Düsseldorf

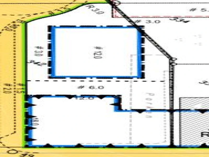
Das vollständig erschlossene Baugrundstück in Velbert-Mitte umfasst 1.039 m² Gesamtfläche und besteht aus drei Flurstücken (371, 392, 393) in der Gemarkung Velbert, Flur 11. Gemäß Bebauungsplan 671.2 (WA III) können auf dem Grundstück zwei moderne Mehrfamilienhäuser mit insgesamt 10 Wohneinheiten und 803 m² Wohnfläche realisiert werden. Die Grundflächenzahl (GRZ) beträgt 0,4, die Geschossflächenzahl (GFZ) 1,2. Eine Beispielplanung sieht ein größeres MFH mit 13 m × 15 m Grundfläche und 6 Wohneinheiten (460 m² Wohnfläche) sowie ein kleineres MFH mit 10 m × 13 m und 4 Wohneinheiten (343 m² Wohnfläche) vor, beide in 2,5-geschossiger Bauweise mit Satteldach. Das separate Flurstück 371 (200 m²) bietet Platz für 10 Stellplätze. Der Bodenrichtwert liegt bei 320 €/m². Eine Baugenehmigung für betreutes Wohnen liegt bereits vor, eine neue Bauvoranfrage wird empfohlen. Das Grundstück ist kurzfristig bebaubar und bietet maximale Flexibilität für verschiedene Wohnkonzepte.

Lage

Das Grundstück befindet sich in zentraler Lage von Velbert-Mitte und bietet eine optimale Infrastruktur für Wohnprojekte. Die Innenstadt von Velbert liegt im Kreis Mettmann zwischen den Großstädten Düsseldorf (ca. 25 km westlich) und Wuppertal (ca. 15 km südlich). Die Verkehrsanbindung ist hervorragend: Die Autobahnen A44 und A535 sind schnell erreichbar und ermöglichen eine direkte Anbindung an das überregionale Verkehrsnetz. Der öffentliche Personennahverkehr ist durch mehrere Buslinien gewährleistet, die fußläufig vom Grundstück erreichbar sind. Alle Einrichtungen des täglichen Bedarfs befinden sich in unmittelbarer Nähe: Einkaufsmöglichkeiten, Supermärkte, Restaurants, Ärzte und Apotheken sind zu Fuß oder mit dem Fahrrad erreichbar. Für Familien besonders attraktiv ist die Nähe zu verschiedenen Bildungseinrichtungen – Kindergärten, Grund- und weiterführende Schulen liegen im direkten Umfeld. Die Wohngegend zeichnet sich durch eine freundliche Nachbarschaft und zahlreiche Grünflächen sowie Parkanlagen aus, die zur hohen Wohnqualität beitragen. Diese zentrale Lage in Velbert-Mitte kombiniert urbanes Leben mit naturnaher Umgebung und garantiert eine hohe Vermietungssicherheit sowie langfristige Wertstabilität für Investoren.

Grundstücksnummer:
20004
Entwicklungsstatus:

Genehmigt, Baureif, Vollständig erschlossen

Bebaubar nach
Bebauungsplan (§30 BauGB)
Empfohlene Nutzungsart:
Mehrfamilienhäuser
Studentenwohnungen / Mikroapartment
Senioren- und Pflegeimmobilien
Kaufpreis:
350.000
Grundstücksgröße:
1.039
m2
Provision:
4.76
%
Provisionsfrei
Die Provision wird mit Abschluss des notariellen Kaufvertrags fällig und ist vom Käufer zu tragen.
Bundesland:
Nordrhein-Westfalen
Stadt:
Düsseldorf

Grundstücksanfrage

Die mit * gekennzeichneten Felder sind Pflichtfelder

Schloßstraße, Düsseldorf

Auf dem traditionsreichen Gelnde des ehemaligen Flughafens Leipzig-Mockau entsteht ein einzigartiges Projekt, das Historie und Zukunft in idealer Weise verbindet. Bereits 1913 erffnet, diente der Flughafen bis 1991 als wichtiger Verkehrsknotenpunkt  seine Geschichte prgt bis heute die besondere Atmosphre des Areals.

Durch eine geplante Umwidmung wird der historische Charme dieses Standorts bewahrt und behutsam in das neue Nutzungskonzept integriert. Das grozgige Grundstck umfasst beeindruckende 28.531 m und ist vollstndig erschlossen  inklusive aller relevanten Anschlsse wie Strom, Abwasser, Gas, Telefon und Trinkwasser.

Smtliche wesentlichen Gutachten, darunter Altlasten- und Baugrunduntersuchungen, liegen bereits vor und knnen auf Wunsch eingesehen werden. Zwei denkmalgeschtzte Bestandsgebude wurden bereits entkernt, fachgerecht gesichert und stehen bereit fr eine umfassende Sanierung  ideal fr visionre Konzepte mit Respekt vor der Vergangenheit.

Aktuell laufen intensive Abstimmungen mit der Stadt Leipzigber die zuknftige Bebaubarkeit und mgliche Erweiterungen der Nutzflche gem Bebauungsplan. Diese auergewhnliche Liegenschaft bietet damit nicht nur Potenzial fr architektonisch anspruchsvolle Entwicklungen, sondern auch Raum fr kreative, zukunftsweisende Projekte in einem geschichtstrchtigen Umfeld.

Projektnummer:
20004
Entwicklungsstatus / Baurecht:

Das geplante Gebude mit einer Bruttogrundflche von 32.000/m soll bis 2027 fertiggestellt werden und verfgt bereits ber eine gltige Baugenehmigung. Es entstehen insgesamt 270 Zimmer sowie 109 Stellpltze. Ein langfristiger Pachtvertrag ber 20 Jahre sichert die Nutzung des Objekts nachhaltig ab.

sssBebaubar nach
Bebauungsplan (§30 BauGB)
Empfohlene Nutzungsart:
Hotelbetrieb
Kaufpreis:
350.000
Grundstücksgröße:
1.039
m2
Provision:
4
%
Provisionsfrei
Die Provision wird mit Abschluss des notariellen Kaufvertrags fällig und ist vom Käufer zu tragen.
Bundesland:
Nordrhein-Westfalen
Stadt:
Düsseldorf

Lage

No information available